Villa a schiera in vendita

Palermo, Via carlo levi - Borgo Nuovo
€ 229.000
Prezzo aggiornato
12 locali 12 locali
300 Mq 300 Mq
3 bagni 3 bagni

Villa a schiera in vendita

Palermo, Via carlo levi - Borgo Nuovo

Descrizione annuncio

OPPORTUNITÀ BIFAMILIARE O UNIFAMILIARE IN RESIDENCE ESCLUSIVO

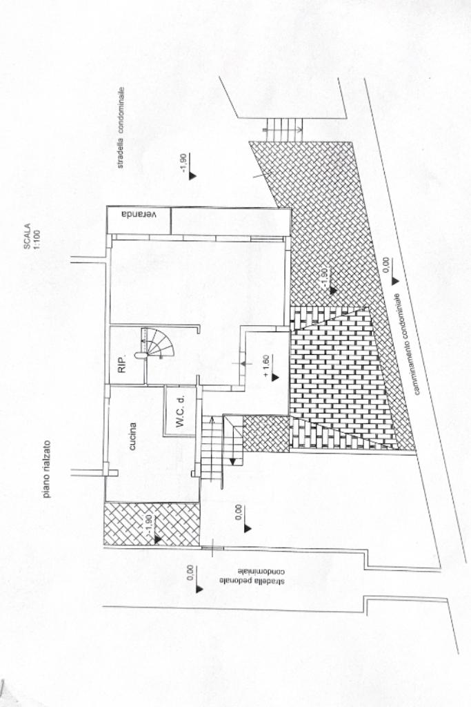
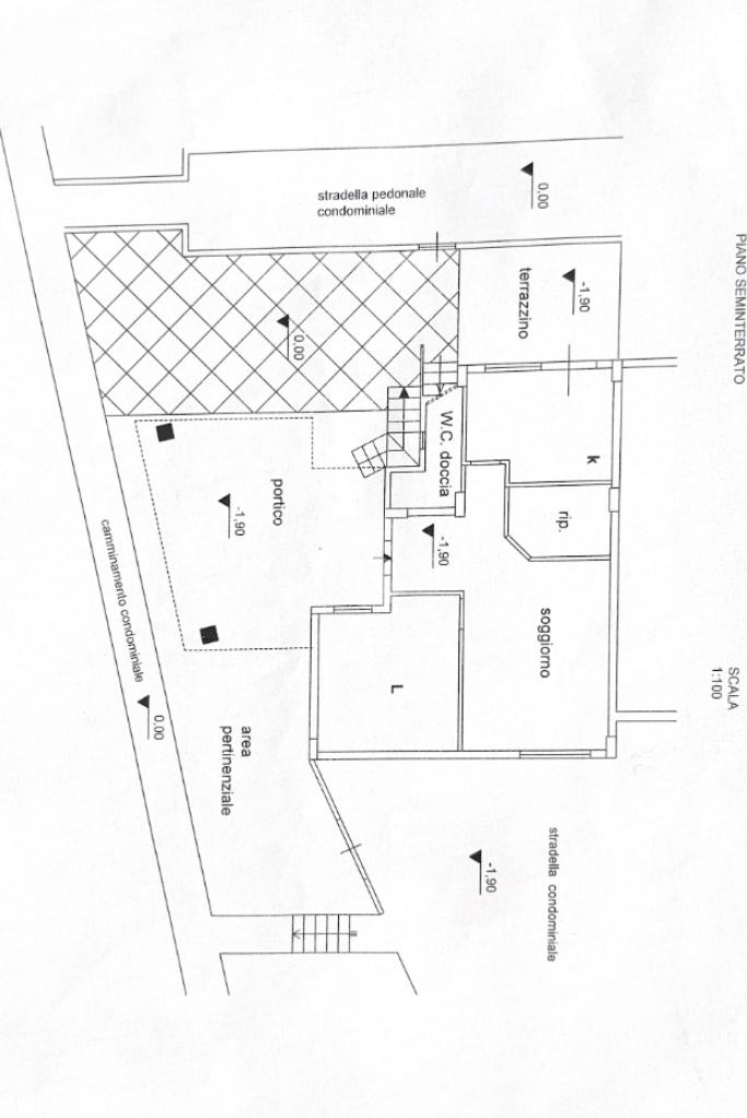
In una delle zone residenziali più richieste, precisamente in Via Carlo Levi (traversa di Via Castellana Alta), proponiamo in vendita una spaziosa villa a schiera bifamiliare di 300 mq disposta su due livelli, inserita in un tranquillo e ben curato residence di sole ville.

Questa proprietà unica offre la massima flessibilità abitativa, risultando già divisa in due unità abitative completamente autonome:

Appartamento Piano Inferiore: Un'unità completamente indipendente, ideale per genitori o da mettere a reddito, dotata di un suo spazio esterno di pertinenza e separato.

Appartamento Piano Superiore: Un'unità grande e luminosa con ben 3 camere da letto. Gode di ampi e riservati spazi esterni di pertinenza esclusiva.

I VANTAGGI DELLA PROPRIETÀ:

Flessibilità Rara: Possibilità di mantenere la configurazione bifamiliare o di realizzare un unico, imponente appartamento di 300 mq.

Contesto Signorile: Inserita in un residence di ville a schiera con accesso pedonale controllato.

Comodità e Accessibilità: Doppio accesso (carrabile e pedonale). La posizione è strategica, vicina a servizi essenziali, negozi e fermate dei mezzi di trasporto pubblico.

Condizioni: L'immobile si presenta in buone condizioni, pronto per essere abitato.

Contattaci oggi stesso per maggiori informazioni e per fissare la tua visita!
Mostra tutto

Nelle vicinanze

Trasporto pubblico Trasporto pubblico
Ex Stazione di Baida
Ex Stazione di Baida
2,0 Km
Ex Stazione Uditore
Ex Stazione Uditore
2,8 Km
Piazza Amerina/San Paolo
Piazza Amerina/San Paolo
670 m
Modica
Modica
1,1 Km
Castellana - Bronte
Castellana - Bronte
410 m
Ricariche auto elettriche Ricariche auto elettriche
R.Star Concessionaria | EnelX
2,2 Km
Supermercati Supermercati
Ipercoop
1,4 Km
Conad
1,9 Km
Todis
2,2 Km
Costa Supermarket
2,7 Km
Simply
3,0 Km
Negozi Negozi
Panificio Costa
2,7 Km
Bar Bar
Lo bianco
2,8 Km
Ristoranti Ristoranti
A facci ri miriusi
2,5 Km
Mostra tutto

Caratteristiche

Rif.:
61103730
Piano:
1 di 3 (Piano su più livelli)
Posti auto:
2
Balconi:
2
Terrazzi:
2
Camere da letto:
4
Mostra tutto
Prezzo Prezzo
€ 229.000
Rata mutuo Rata mutuo
€ 1.079 / mese
Spese annue Spese annue
€ 600
Proponi il tuo prezzoProponi il tuo prezzo

Classe Energetica

E
E
E
E
E
E
E
E
E
EP globale non rinnovabile:
119.71 kW h/m² anno
EP globale rinnovabile:
180.00 kW h/m² anno
EP invernale del fabbricato:
EP estiva del fabbricato:
Anno di costruzione:
1990
Riscaldamento:
Autonomo
Tipo impianto:
A radiatori
Tipo alimentazione:
Metano

Prezzo ridotto di €1 (5%%)

Ti interessa visionare l'immobile?

Fissa un appuntamento  Fissa un appuntamento

Richiedi informazioni

Clicca su Leggi per aprire l'informativa
* Questi campi sono obbligatori

Calcola il tuo mutuo

Semplice e senza impegno
Anticipo

( % )
Mutuo

( % )

pochi semplici passi

inserisci i tuoi dati
Questionario completato
Grazie per aver richiesto un appuntamento senza impegno con un nostro Consulente del Credito e Assicurativo.

Hai inserito correttamente tutti i dati necessari e a breve riceverai una e-mail con un link da convalidare per inviare i tuoi dati.
Affiliato
Immobiliare Passo Di Rigano Borgonuovo Srl
Via Roccazzo, 36/b 90135 Palermo (PA)

Il nostro staff


  • Giovanni Nuccio
    Affiliato

  • Massimo Madonia
    Collaboratore
Via Roccazzo, 36/b 90135 Palermo (PA)
Zona: Borgo Nuovo-Passo di Rigano-Baida-Perpignano Alta-Leonardo da Vinci alta
Mostra su mappa
Orari: dal lunedi al venerdi' dalle 8:45 alle 13:00 dalle 15:00 alle 19:00 sabato dalle 8:45 alle 13:00 domenica:chiusi
Affiliato
Immobiliare Passo Di Rigano Borgonuovo Srl
Via Roccazzo, 36/b 90135 Palermo (PA)

2026 Tecnocasa Franchising S.p.A. - P. IVA 08365160152 - Via Monte Bianco 60/A 20089 Rozzano (MI). Ogni agenzia ha un proprio titolare ed è autonoma. Privacy policy | Policy utilizzo | Cookie policy