Trilocale in vendita

Palermo, Via Massaua - Passo Di Rigano
€ 70.000
3 locali 3 locali
81 Mq 81 Mq
1 bagno 1 bagno

Trilocale in vendita

Palermo, Via Massaua - Passo Di Rigano

Descrizione annuncio

Passo di Rigano: Interessante Opportunità d'Investimento con Spazi Esterni Attrezzati

Passo di Rigano: trilocale con Spazio Esterno e Veranda – Ottima Soluzione da Investimento

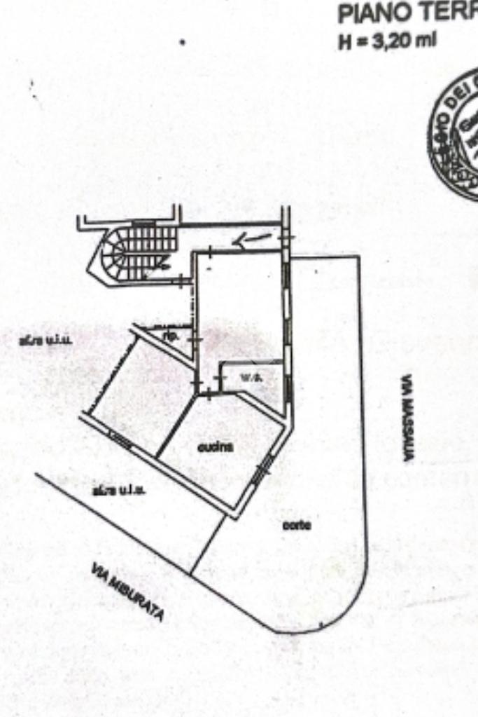
Proponiamo in vendita di nuda proprietà in Via Massaua, nella zona di Passo di Rigano, un appartamento al piano terra di 72 mq. L'immobile si presenta in buone condizioni generali, frutto di una manutenzione attenta e costante che lo rende abitabile sin da subito.

La proprietà offre:

Zona Giorno: Soggiorno confortevole e cucina abitabile.

Zona Notte: Una camera da letto matrimoniale di generose dimensioni.

Comfort e Sicurezza: L'appartamento è dotato di porta blindata e infissi in vetrocamera, elementi che garantiscono sicurezza e un buon isolamento termo-acustico.

Lo spazio esterno:

Il valore aggiunto è rappresentato dalla grande veranda, uno spazio esterno coperto e attrezzato con una seconda cucina. Una soluzione funzionale che permette di vivere pienamente l'area aperta in totale comodità.

Dettagli dell'operazione:

L'immobile viene ceduto come nuda proprietà. Si tratta di un'opportunità d'acquisto pensata per chi desidera investire il proprio capitale nel mattone con una prospettiva a lungo termine.

La proprietà valuta soluzioni che prevedano la permanenza dei venditori all'interno dell'abitazione anche successivamente all'atto di vendita; un aspetto che rende l'operazione particolarmente adatta a chi cerca una gestione patrimoniale lineare e riservata.

Per approfondire le modalità di acquisto e la possibile gestione futura dell'immobile, vi invitiamo a contattare i nostri consulenti per un colloquio informativo in agenzia.

Mostra tutto

Nelle vicinanze

Trasporto pubblico Trasporto pubblico
Ex Stazione Uditore
Ex Stazione Uditore
790 m
Ex Stazione di Baida
Ex Stazione di Baida
1,6 Km
Campo Ribolla
Campo Ribolla
360 m
Casalini
Casalini
430 m
Roccazzo - Massaua
Roccazzo - Massaua
50 m
Ricariche auto elettriche Ricariche auto elettriche
R.Star Concessionaria | EnelX
1,1 Km
Conad Centro Commerciale Ai Leoni | EnelX
2,6 Km
CONAD SUPERSTORE Palermo Mandalà | EnelX
2,8 Km
Scuole Scuole
Istituto Comprensivo Statale "Antonio Ugo"
2,0 Km
Scuola Elementare Giovanni Bonanno
2,1 Km
Istituto Tecnico Economico e per il Turismo Pio La Torre
2,1 Km
Istituto Comprensivo Statale Cruillas
2,2 Km
Istituto Comprensivo Statale "Giotto Cipolla"
2,2 Km
Farmacia Farmacia
Farmacia
1,3 Km
Farmacia Bonsignore
1,6 Km
Di Maio
2,5 Km
Mancino
2,5 Km
Barone
2,7 Km
Supermercati Supermercati
Conad
910 m
Simply
920 m
ARD
940 m
Todis
1,1 Km
Ipercoop
1,5 Km
Negozi Negozi
Di bella
980 m
Super Moda
1,5 Km
Panificio Garofalo
1,6 Km
Panificio Costa
1,8 Km
Pecoraro
2,0 Km
Bar Bar
Lo bianco
760 m
Facebar
1,0 Km
Cobra
1,7 Km
Bar
2,0 Km
Manila
2,4 Km
Ristoranti Ristoranti
A facci ri miriusi
930 m
Lo Strascino
1,6 Km
Palermo Home Restaurant
1,7 Km
Asia
1,7 Km
Oceania
2,1 Km
Mostra tutto

Caratteristiche

Rif.:
61165397
Piano:
Basso di 3
Totale piani:
3
Terrazzi:
1
Camere da letto:
1
Arredamento:
Assente
Mostra tutto
Prezzo Prezzo
€ 70.000
Rata mutuo Rata mutuo
€ 330 / mese
Spese annue Spese annue
€ 200
Proponi il tuo prezzoProponi il tuo prezzo

Classe Energetica

F
F
F
F
F
F
F
F
F
EP globale non rinnovabile:
180.00 kW h/m² anno
EP globale rinnovabile:
180.00 kW h/m² anno
EP invernale del fabbricato:
EP estiva del fabbricato:
Anno di costruzione:
1965
Riscaldamento:
Autonomo
Tipo impianto:
Ad aria
Tipo alimentazione:
Aria

Ti interessa visionare l'immobile?

Fissa un appuntamento  Fissa un appuntamento

Richiedi informazioni

Clicca su Leggi per aprire l'informativa
* Questi campi sono obbligatori

Calcola il tuo mutuo

Semplice e senza impegno
Anticipo

( % )
Mutuo

( % )

pochi semplici passi

inserisci i tuoi dati
Questionario completato
Grazie per aver richiesto un appuntamento senza impegno con un nostro Consulente del Credito e Assicurativo.

Hai inserito correttamente tutti i dati necessari e a breve riceverai una e-mail con un link da convalidare per inviare i tuoi dati.
Affiliato
Immobiliare Passo Di Rigano Borgonuovo Srl
Via Roccazzo, 36/b 90135 Palermo (PA)

Il nostro staff


  • Giovanni Nuccio
    Affiliato

  • Massimo Madonia
    Collaboratore
Via Roccazzo, 36/b 90135 Palermo (PA)
Zona: Borgo Nuovo-Passo di Rigano-Baida-Perpignano Alta-Leonardo da Vinci alta
Mostra su mappa
Orari: dal lunedi al venerdi' dalle 8:45 alle 13:00 dalle 15:00 alle 19:00 sabato dalle 8:45 alle 13:00 domenica:chiusi
Affiliato
Immobiliare Passo Di Rigano Borgonuovo Srl
Via Roccazzo, 36/b 90135 Palermo (PA)

2026 Tecnocasa Franchising S.p.A. - P. IVA 08365160152 - Via Monte Bianco 60/A 20089 Rozzano (MI). Ogni agenzia ha un proprio titolare ed è autonoma. Privacy policy | Policy utilizzo | Cookie policy